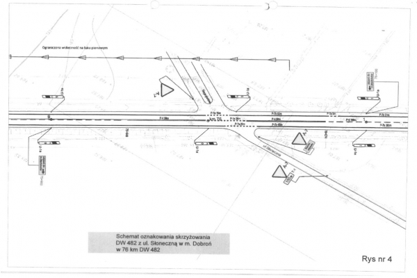
Wprowadzenie tymczasowej organizacji ruchu - zamknięcie przejazdu drogowo-kolejowego w Dobroniu
W imieniu Generalnego Wykonawcy ZUE S.A. kontraktu „Prace na liniach kolejowych nr 14, 811 na odcinku Łódź Kaliska - Zduńska Wola - Ostrów Wielkopolski, Etap I: Łódź Kaliska - Zduńska Wola" informuję, że w związku z prowadzonymi pracami budowlanymi na szlaku Pabianice-Dobroń zachodzi konieczność przebudowy przejazdu drogowo-kolejowego w ciągu ul. Sienkiewicza w m. Dobroń (droga powiatowa nr 4912E).
Wiąże się to z wprowadzeniem czasowej organizacji ruchu zgodnie z załączonym projektem w dniu 12.11.2020 od godz. 08:00 do dnia 22.11.2020 do godz. 20:00.
- Skomentuj [ 0 ]
- 09:20, 10.11.2020 r.
Wasze komentarze
Brak komentarzy
Dodaj komentarz
Redakcja serwisu ŁaskOnline.pl nie bierze odpowiedzialności za treść komentarzy zamieszczonych przez internautów. Należą one do osób, które je zamieściły.
Reklama





Popularne artykuły
- Plan kolędy na nadchodzący tydzień
- Łask. Odeszli do wieczności
- Od 2026r. świadczenie wspierające dostępne dla wszystkich z niepełnosprawnością
- Uwaga! Gołoledź na drogach i chodnikach
- 32 BLT. Wigilijna wizyta Szefa Sztabu Generalnego
- Po 5 latach poszukiwań sam zgłosił się do łaskiej komendy
- Księga wieczysta - szybkie sprawdzenie stanu prawnego nieruchomości
- Łask. Harmonogram odbioru odpadów w 2026 roku
- Buczek. Prośba do mieszkańców w sprawie parkowania pojazdów w okresie zimowym
- Łask. Od stycznia tańsze bilety dla uczniów
Reklama


Najnowsze ogłoszenia
- KUPIĘ WOJSKOWE MEDALE,ORDERY,ODZNAKI,ODZNACZENIA
- KUPIĘ SZABLE,BAGNETY,KORDZIKI,NOŻE STARE WOJSKOWE
- Porzodki
- male kotki
- GARAZ do wynajecia
- Zaginął młody kotek
- Mieszkanie do wynajęcia
- Petsitter poszukiwany
- Do wynajecia
- Dziaki budowlane
Przeglądaj
Dodaj ogłoszenie bezpłatnie
Ostatnio na forum
- Jak zmienia się nasze miasto
- Szukam lokalnego korepetytora
- Podziękowanie
- Witam wszystkich, szukam lokalnego korepetytora
- Przerwy w oświetleniu ulic.
- Łohojsk nie powinien być już miastem partnerskim dla Łasku
- Zima,zima
- F16
- Czy mógłby ktoś wyjaśnić co z remontem drogi nr 473,cz będzie rondo w Bałuczu.
- Gdzie na bezpieczne zakupy
Więcej dyskusji
Najnowsze komentarze
- Darmo, darmo, darmo, a ja się pytam 800+ to na co jest?
- Wprowadzić całkowity zakaz sprzedaży fajerwerków i ganiać nielegalnych sprzedawców. Spokojneg
- Główny mors miasta ??? Jak tak to tylko - 6 km dla dzików:) pozdrawiam wszystkich morsojac
- tak wogole petardy hukowe powinny byc ograniczone w okreslonych godzinach w tym dniu ku zwierzakom i
- do G jak masz las blisko to wrocisz do chaty trzeba mieszkac w bespiecznym regionie
- niektore szkolypodstawowe zostaly zlikwidowane z powodu nizu demograficznego dziecka sa dowozone za
- popieram sasiad sasiadowi moze spalc dach nad glowa
- Ta, w las, akurat i znajdą cię dopiero na wiosnę, jak pamiętną roSSyjską rakietę pod Bydgoszc
- Nie tylko "Uważajmy na fajerwerki" ale przede wszystkim NIE UŻYWAJMY FAJERWERKÓW w ogóle. Już
Pogoda
Najnowsze zdjęcia
-
10. Festiwal Róży w Łasku
-
Święto Truskawki 2025 - część 1 (niedziela)
-
Święto Truskawki 2025 - część 4
-
Święto Truskawki 2025 - część 3
-
Święto Truskawki 2025 - część 2
-
Święto Truskawki 2025 - część 1
-
Walne zebranie delegatów Łaskiej Spółdzielni Mleczarskiej
-
III Piknik Kół Gospodyń Wiejskich z Powiatu Łaskiego
-
Maturzyści z LO w Kolumnie zakończyli rok szkolny
-
Kwietna łąka Młodzieżowej Rady Miejskiej


